今日はちょっと食いが渋くなりましたが、いいサイズも釣れました〜
井上さん
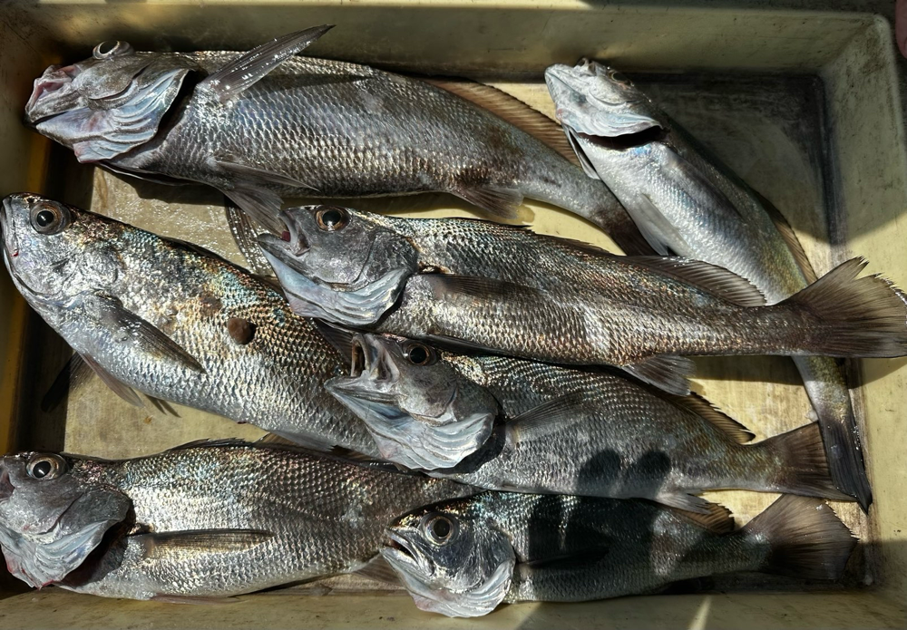
クログチ 51センチまで 7匹‼️
辰巳さん 46センチまで 7匹‼️
井上さん
クログチ 51センチまで 7匹‼️
辰巳さん 46センチまで 7匹‼️
なかなか良いサイズ🎉
明日8日(火)と9日(水)はお休みです。
10日(木)からはマアジ五目狙いです。
ご予約お待ちしております!
次回のクログチ狙いは
17日(木)からになります。
10日(木)からはマアジ五目狙いです。
ご予約お待ちしております!
次回のクログチ狙いは
17日(木)からになります。
